Item Category: All > Vehicles > Cars, SUVs, Vans, Buses
Notice - This vehicle is sold as-is/where-is. The following description details the vehicles condition as known to us.
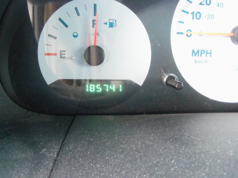
43461 - Junk Certificate - 2006 Dodge Caravan 2WD 6 Cylinders E 3.3L MFI FFV OHV - Mileage: 185,741
THERE SHOULD BE NO EXPECTATION OF ROADWORTHINES Vehicle is "AS-IS", "WHERE-IS"
Junk Certificate - 2006 Dodge Caravan, 3.3ltr, V-6 engine with A/C, Last known mileage 185,741 miles. Did not started with a jump. Electrical problems may or may not need replacements or major repairs. Vehicle has an oil leaks and coolant leaks.
VEHICLE IS SOLD AS JUNK WITH A JUNK CERTIFICATE TITLE
Tires : Fair
Glass : OK
Body : (Silver) Poor condition: with lower body rust, under body rust, and rocker panel rust.
Interior: (Gray) Fair condition
VEHICLE IS SOLD AS JUNK ,WITH A JUNK CERTIFICATE TITLE
VEHICLE NEEDS TO BE TOWED OFF SITE
CALL FOR VIEWING AND PICK-UP TIMES: 1-217-441-1839
Location : Chicago Northside Garage
7075 W. Forest Preserve Drive
Chicago, IL. 60634
CALL FOR PICK-UP TIMES : 1-217-441-1839
Mileage: 185,741
This unit is a retired government vehicle and perception of the overall condition of the vehicle should be based on that knowledge.
There may be some holes on exterior and interior where equipment has been removed or where decals/markings have been removed.
All options may not work. Small dents scratches may not appear in pictures. Condition of brakes, steering and suspension are not examined and therefore are unknown. A low speed lot test (If conducted) consists of a visual walk around, attempting to start the unit, driving under 15 MPH for a short period testing the engine and running gear. Brakes are only tested for stopping at low speeds. Cars that start on their own when tested may not start after sale and may need a jump start. Condition of batteries are always unknown.
Terms and Conditions of iBid Vehicle Sales
- All vehicles are offered for sale - "AS-IS, WHERE-IS" - with no warranties or guarantees offered, implied or expressed, as to its fitness for any use or purpose. No vehicle is to be considered road worthy.
- Every effort will be made to accurately describe the vehicles offered for sale. However, the bidder is cautioned that the presented vehicles are used and may contain defects not immediately detectable. Also expect that pictures generally enhance a vehicle and may not show all imperfections, damage or even accurate colors.
- Vehicles will not be available for public inspection prior to bidding. However, inspection terms may be offered at the sole discretion of the iBid administrator, and may be changed at any time without prior notice.
- ALL SALES ARE FINAL! There are no refunds or exchanges.
- The State of Illinois cannot provide security for purchased vehicles. Once a sale is complete, the buyer assumes all responsibility for the purchased vehicles. Removal of vehicles must be completed within the specified pick-up dates/times.
- There is absolutely no “salvage” of vehicles on State-owned property. Dismantling, cutting, or crushing of any vehicle will not be allowed. However, any vehicle that must be downsized, by unbolting any attached equipment, to make it legal for transportation purposes will be allowed.
- The State of Illinois does not allow purchasers to make repairs or to adjust vehicles on State property, with the exception of minor repairs needed to make the vehicle functional for removal from the premises after purchase. Minor repairs may include checking fluid levels, jumping or replacing batteries, belts/hoses replacement, tire repair/replacement, lighting, and wiper blades.
- The State cannot and will not provide the buyer any tools, materials, or State employee for any repairs needed to remove the vehicles from State property. There is no access to fuel or materials of any kind at the sale site where vehicle was purchased.
- The State of Illinois cannot and will not load any vehicles on private or for-hire trucks or trailers due to liability issues. All loading and securing of vehicles purchased from the State of Illinois is the sole responsibility of the purchaser or their agents.
- A Junk Title or "Junk Certificate" cannot be re-issued as a valid title, once a junk certificate is issued that vehicle is no longer considered a viable road worthy vehicle. Please be aware of the title status and what these mean BEFORE placing a bid. No refunds will be made for a junk title after sale.
- A Salvage Title or "Salvage Certificate" vehicle cannot be sold to any buyer that is not a Illinois licensed rebuilder. Please be aware of the title status and what these mean BEFORE placing a bid.
- Although every reasonable effort has been made to insure the accuracy of the information contained on this listing and web site, absolute accuracy cannot be guaranteed. This site, and all information and materials appearing on it, are presented to the user "as is" without warranty of any kind, either express or implied.
Bidders who refuse to comply with these terms may be suspended from future auctions and/or charged fees listed within iBid general rules.
Instructions for picking up vehicles:
For vehicles that are 10 model years or older (these vehicles do not fall under the Federal Truth in Mileage Act), the Certificate of Title may be mailed to the successful bidder as long as the “Assignment of Title” portion on the face of the Certificate of Title is properly completed and the “Signature of Seller(s)” and “Printed Name of Seller(s)” portions are also completed.
For those vehicles that are newer than 10 model years (these vehicles must comply with the Federal Truth in Mileage Act), the Certificate of Title must be properly assigned to the buyer, signed by the Seller along with the printed name of the Seller, the current mileage of the vehicle indicated in the “Odometer Reading” section, and signed by the Buyer along with the printed name of the Buyer at the time of sale or delivery(or their appointed agent with a properly completed Secure Power of Attorney). Please use this link to the P.O.A. form.
http://www.cyberdriveillinois.com/publications/pdf_publications/rt5.pdf
Pickup will only be after payment has been secured thru Illinois Department of Central Management Services. Payment may be made by Cashier’s Check or Money Order- paid to the order of SSPRF, (State Surplus Property Revolving Fund). Mail to: C/O Natalie Williams, CMS Surplus Vehicle Manager, iBid Illinois, 1924 South 10 ½ St., Springfield, IL 62703.
Failure to make payment and pick up property shall subject the winning bidder to the following:
A.) In the Illinois Department of Central Management Services sole discretion, a reclamation of the awarded property and relisting of the same for public auction;
B.) The payment of such fees and charges including any storage, administrative or other expenses necessary to re-auction the unclaimed item;
C.) A handling charge of $25.00, plus ten percent (10%) of the bid price for a restocking fee, plus 2% of the total sale already paid to the State of Illinois.
PAYMENT & REMOVAL TIMEFRAMES
If you are awarded an item by CMS, the winning Bidder is responsible and required to pay for the item awarded as notified after the sale, unless otherwise agreed to by CMS. Buyers will be notified of available pick up dates and times. After payment is accepted and processed, an email or "Bidder’s Receipt" will be directed to the email account on file for this sale. PRINT and RETAIN this PAID RECEIPT CONFIRMATION.
CMS may mail the titles for sold vehicles to the buyer, or titles may be available to the buyer at the pick-up location at the time of their pick-up appointment, as determined by CMS DOV / License & Title.
Note: Out of state Bidders purchasing vehicles, it is your responsibility to contact your residing state Division of Motor Vehicles for information regarding the License, Title & Registration requirements for the vehicle(s). CMS - DOV / License & Title will be unable to assist with any out of State License and Title issues.
Vehicles will not be released without a paid invoice (bill of sale), and a properly prepared and executed "Power of Attorney" if the named Buyer is not the party picking the vehicle up.
DEFAULT - FAILURE TO PAY OR SCHEDULE PICK-UP
Bidders are cautioned to submit bids only on items they are prepared to pay for and remove in accordance with the online sale terms and conditions of this sale. All awarded items must be paid for and have a removal appointment scheduled within five (5) business days from the posted sale ending date/ time. Furthermore, all items must be removed at the scheduled time/date of removal. Failure to pay for and/or remove all awarded items could result in termination of the contract and no refund will be made.
FORMS OF PAYMENT
All payments must be received by the State by the close of business on the 5th business day of sale closing. The State of Illinois shall accept online payments in the form of VISA and/or MASTERCARD ONLY. Bidders may also pay by cashier’s check, bank draft, or money order. The check/draft/money order must be made payable to the State Surplus Property Revolving Fund (SSPRF) and include notation of auction ID, lot #, or equipment #.
If paying by cashier’s check, bank draft, or money order, Buyer must notify us via email within five (5) business days of auction close if payment is being made via mail. Mail payment to: SSPRF, 1924 South 10 ½ Street, Springfield, IL 62703
EQUIPMENT REMOVAL
1. Please print and bring a copy of your paid receipt, and present at the time of removal. A paid receipt in the Bidder’s name must be presented at State offices, and is required to remove property. If you are contracting removal of your winning bid, please ensure your transportation contractor has a copy of the paid receipt, and a properly prepared and executed "Power of Attorney."
2. Titles for certain assets may be issued at time of removal of equipment, only upon presentation of paid receipt and personal identification. Title and equipment will not be issued without a PAID RECEIPT and personal Federal or State issued identification (driver’s license, State ID card, etc.). The contact at the location will require a signature and date on the paid receipt, and will make a copy of your identification for filing.
Note: Vehicles will not be released without a paid invoice (bill of sale), a valid copy of the winning bidders (Buyer) driver’s license, (presented at time of sale or on file) and a properly prepared and executed "Power of Attorney" if the named Buyer is not the party picking the vehicle up.
Power of attorney form can be found at this web address: http://www.cyberdriveillinois.com/publications/pdf_publications/rt5.pdf
3. Please note location of equipment is "site specific." Equipment is located Statewide at various locations. Specific address information and point of contact will be provided to the winning Bidder only at the conclusion of the sale. Be sure to note your pickup location and dates and times your purchase will be available for pickup. Pickup locations are closed on weekend and State Holidays.
4. Awarded Bidders will have five (5) business days from the close of the sale to schedule the removal of equipment, unless otherwise agreed to by the State of Illinois.
5. Any equipment not scheduled for removal at the end of the five (5) business days will result in forfeiture of sale, equipment will revert to the property of the State of Illinois for disposal, and no refund will be made, unless otherwise agreed to in writing by the holding/owning State agency.
6. Salvage of or crushing of equipment on State of Illinois property is not permitted. Absolutely "NO" Crushing, cutting up, or dismantling of any equipment will be allowed on any State of Illinois property unless the equipment must be downsized by unbolting parts to make it legal for transportation purposes. Any and all removal needs will be the Bidders responsibility.
IMPORTANT NOTICE
- NO SECURITY IS PROVIDED. The Bidders assumes all risk for securing equipment purchased immediately following the sale. The State of Illinois will not provide security for your purchases. Therefore, you should make arrangements to remove your equipment immediately upon payment.
- The State is not responsible to any Bidder or Purchaser for theft or stolen equipment-. Be advised that theft and cannibalism of unsecured equipment is the sole responsibility of the winning Bidder. Immediately following the close of sale, it is Bidder’s responsibility to secure equipment. It is up to the winning Bidder to secure equipment and removal as quickly as possible.
- Assistance may be provided if and when available. However, winning Bidders should be prepared and arrive with the necessary equipment, tools, and resources to load and secure your purchases onto your transportation carriers, and remove your purchases from the property.
- Successful Bidders are cautioned that they are responsible and should be prepared to load and remove any and all property awarded them from the exact place where the property is located as stated in the State’s written description.
- Upon release of the vehicle by the State to Buyer or Buyer’s Agent, the Buyer does hereby release, waive, discharge and covenant not to sue the State regarding any and all liability, claims, demands, actions and causes of action whatsoever, which arise or may hereafter arise upon submitting payment for the vehicle that may arise after taking possession of the vehicle.
THE ILLINOIS DEPARTMENT OF CENTRAL MANAGEMENT SERVICES WILL NOT PERMIT DELINQUENT PAYMENT OR PICKUP OF IBID MERCHANDISE.
ALL UNPAID/UNCLAIMED ITEMS WILL BE RESOLD AND ABOVE PENALTIES SHALL BE IMPOSED ON DELINQUENT BIDDER. WHEN BIDDER MAKES PAYMENT BUT FAILS TO PICK-UP AWARDED PROPERTY, BIDDER SHALL ONLY BE ENTITLED TO A REFUND, LESS THE ABOVE PENALTIES ENUMERATED ABOVE.
The Illinois Secretary of State mandates that we cannot transfer a title to any name except the name that matches the receipt for vehicle purchases, unless the buyer is a dealer licensed to do business in Illinois.
“Sec. 3-101. Certificate of title required.
(a) Except as provided in Section 3-102, every owner of a vehicle which is in this State and for which no certificate of title has been issued by the Secretary of State shall make application to the Secretary of State for a certificate of title of the vehicle.
(b) Every owner of a motorcycle or motor driven cycle purchased new on and after January 1, 1980 shall make application to the Secretary of State for a certificate of title. However, if such cycle is not properly manufactured or equipped for general highway use pursuant to the provisions of this Act, it shall not be eligible for license registration, but shall be issued a distinctive certificate of title except as provided in Sections 3-102 and 3-110 of this Act.
(c) The Secretary of State shall not register or renew the registration of a vehicle unless a certificate of title has been issued by the Secretary of State to the owner or an application therefore has been delivered by the owner to the Secretary of State.
(d) Every owner of an all-terrain vehicle or off-highway motorcycle purchased on or after January 1, 1998 shall make application to the Secretary of State for a certificate of title.
(Source: P.A. 90-287, eff. 1-1-98.)
(625 ILCS 5/3-102) (from Ch. 95 1/2, par. 3-102)
Sec. 3-102. Exclusions.
No certificate of title need be obtained for:
1. A vehicle owned by the State of Illinois; or a vehicle owned by the United States unless it is registered in this State;
2. A vehicle owned by a manufacturer or dealer and held for sale, even though incidentally moved on the highway or used for purposes of testing or demonstration, provided a dealer reassignment area is still available on the manufacturer's certificate of origin or the Illinois title; or a vehicle used by a manufacturer solely for testing;
3. A vehicle owned by a non-resident of this State and not required by law to be registered in this State;
4. A motor vehicle regularly engaged in the interstate transportation of persons or property for which a currently effective certificate of title has been issued in another State;
5. A vehicle moved solely by animal power;
6. An implement of husbandry;
7. Special mobile equipment;
8. An apportionable trailer or an apportionable semitrailer registered in the State prior to April 1, 1998.
(Source: P.A. 91-441, eff. 1-1-00”
-WARNING-
VEHICLES SOLD BY THE STATE OF ILLINOIS ARE SOLD “AS IS,” “WHERE IS” AND NO WARRANTIES, WHETHER EXPRESS, STATUTORY OR IMPLIED INCLUDING, BUT NOT LIMITED TO ANY IMPLIED WARRANTY OF MECHANTABILITY AND THE IMPLIED WARRANTY OF FITNESS FOR A PARTICULAR PURPOSE, BOTH OF WHICH ARE HEREBY EXPRESSLY DISCLAIMED BY BUYER. NO EMPLOYEE, AGENT OR REPRESENTATIVE OF THE STATE OF ILLINOIS IS AUTHORIZED TO GRANT ANY WARRANTY OF ANY TYPE WHATSOEVER OR TO MODIFY THE TERMS OF THIS DISCLAIMER IN ANY MANNER.
Many Illinois State Police vehicles being offered were equipped with an after-market air bag switch. The National Highway Transportation Safety Administration (NHTSA) approved the State's request to install air-bag switches for certain vehicles owned by the State of Illinois and operated by the Illinois State Police. The air bag switches remain active due to the safety benefits provided by air bag switches to the vast majority of drivers.
Purchasers of used vehicles sold by the State of Illinois are cautioned, admonished, encouraged and advised to have the air-bag safety unit inspected prior to operation. All Purchasers are further cautioned that they are solely responsible for conforming to the requirements of any applicable and lawful ordinance, rule or statute governing the resale of vehicles purchased from the State of Illinois.
Air Bag Safety Tips
• Find out if the vehicle has been recalled for safety problems. That information is available on The National Highway Traffic Safety Administration's (NHTSA) Web site: http://www.nhtsa.dot.gov/;
• Check the vehicle's crash test results with the Insurance Institute For Highway Safety (IIHS). The web site is: http://www.iihs.org/. The IIHS is a nonprofit research and communications group funded by auto insurers. You can also find crash test results and other information on NHTSA's Web site;
• Check for signs of previous damage, including mold, paint that doesn't match the rest of the vehicle, frayed safety belts, fenders and doors that don't align, silt in the trunk, and uneven tire tread;
• Check the airbag indicator light on the dash board. (It's sometimes marked "SRS" for supplemental restraint system). If the light doesn't come on, it could mean the airbag system isn't working. Car experts say the airbag warning light in most vehicles comes on when you start the car and stays on for a few seconds. If the light stays on longer, there could be a problem with the airbag system.
• Inspect the airbag cover to be sure it's original and not a replacement. Most original covers are marked "SRS" or "S/R".
| Bidder | Bid | Date and hour |
|---|---|---|
| chicagopartsheadquarters1 | $ 300.00 | Oct 08, 2018 - 06:01:56 PM |




View Gallery